quinta-feira, 23 abril, 2026
HomeRECOMENDADOBuracos misteriosos no fundo do oceano intrigam os cientistas

Buracos misteriosos no fundo do oceano intrigam os cientistas

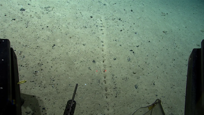
Neste sábado (23), uma equipe de cientistas que usava a embarcação Okeanos Explorer para explorar uma região submersa de uma montanha no meio do oceano Atlântico encontrou algo surpreendente: uma série de buracos no fundo do oceano, organizados praticamente em linhas retas. Os buracos até parecem ter origem humana, mas como há sinais de pilhas de sedimentos nas bordas, podem ter sido escavados por algo desconhecido.

A descoberta aconteceu durante a expedição Voyage to the Ridge 2022, dedicada à exploração e mapeamento das águas profundas e desconhecidas da Zona de Fratura Charlie-Gibbs, Dorsal Mesoatlântica e Planalto dos Açores. A Dorsal Meso-Atlântica se estende por quase 16 mil km de norte a sul, e é considerada a maior cadeia montanhosa do mundo.

Durante a expedição, os cientistas conseguiram chegar a aproximadamente 2,7 km de profundidade e registraram suas descobertas com uma câmera operada remotamente. A NOAA Ocean Exploration, instituição federal dos Estados Unidos dedicada à exploração dos oceanos, publicou fotos que mostram que os buracos foram identificados no que parece ser uma superfície plana, composta por areia.

Até o momento, a NOAA não tem explicações sobre o que teria formado os buracos. “Observamos alguns desses conjuntos de buracos sublineares no sedimento”, afirmou a instituição. Segundo a NOAA, os buracos já foram relatados ali antes, mas a origem deles segue misteriosa.

A instituição até convidou o público a oferecer teorias próprias, mas aqueles que participaram acabaram trazendo mais dúvidas — alguns sugeriram que os buracos poderiam ter sido feitos por alguém coletando amostras de núcleo. “Existe algum objeto ou animal nos buracos? A linha acompanha a direção da corrente?”, indagou um usuário. Só nos resta esperar novos estudos sobre as perfurações misteriosas.

Fonte: NOAA; Via: Phys.org

Fonte: Canal Tech

Redação
Redaçãohttp://www.360news.com.br
O 360 News é um veículo de comunicação especializado em inovação e tecnologia, que conecta empresários, profissionais e estudantes às principais tendências do setor. Por meio de notícias, análises e conteúdos digitais, oferece informação de qualidade para compreender transformações, identificar oportunidades e impulsionar negócios.
RECOMENDADOS

MAIS POPULAR